Hurricane Rafael: Projected Path And Potential Impact

M.Beartooth 44 views
Hurricane Rafael: Projected Path And Potential Impact

Hurricane Rafael: Projected Path and Potential Impact

Hey guys! Let’s dive into the projected track of Hurricane Rafael and what it could mean for those in its potential path. Understanding the forecast, the areas at risk, and the possible effects is super important to stay safe and prepared. So, grab a seat, and let’s break down everything you need to know about Hurricane Rafael’s journey. We’ll look at where it’s expected to go, the possible impacts, and how to stay informed during this weather event. It’s all about being informed and taking the necessary precautions to keep everyone safe.

Understanding Hurricane Rafael’s Projected Path

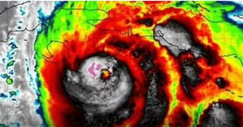
First things first: the projected track . This is basically the path meteorologists think Hurricane Rafael is most likely to follow. It’s not a straight line, folks! It’s more like a cone, showing the area where the storm’s center could go. Several factors influence this path, including the wind patterns in the upper atmosphere, the ocean’s temperature, and the storm’s own internal dynamics. Weather models, which are super complex computer programs, use all this data to generate these forecasts. The National Hurricane Center (NHC) is the main source for this, and they update their forecasts regularly, so you can stay updated. These models help predict the storm’s movement, speed, and intensity over time. This information is a lifesaver, and it’s super important to check these forecasts frequently because the track can change, sometimes quite a bit. Stay updated with the latest information to be fully aware of the storm’s expected path. Keep an eye on those updated forecasts from the NHC to get the most accurate picture of where Hurricane Rafael is heading. That cone of uncertainty is your best friend when preparing for a hurricane, as it visually represents the possible area of impact. Remember, the projected track is not a guarantee. It’s an estimate, and the storm could veer off course. That’s why it’s so critical to stay informed and ready for any scenario.

When we talk about the projected path, it’s not just about the center of the hurricane. The effects of a hurricane can extend hundreds of miles from the eye. It’s the whole area that can be affected by the storm, from the strong winds and heavy rains to the storm surge, which can cause flooding in coastal areas. It is all part of the big picture. When preparing, consider everything – the potential for heavy rainfall, which could cause flooding, especially in low-lying areas, and strong winds that could knock down trees and power lines. It’s all connected. The more you know, the better you can prepare, making sure you can protect yourself and your loved ones from the storm’s impacts. That means having a plan, knowing your evacuation routes, and having an emergency kit ready. Remember, being prepared is your best defense. The projected track is a critical piece of information, but it’s only one piece of the puzzle. Being informed about the potential impacts will allow you to make the right decisions and stay safe. Remember to always consult official sources, such as the National Hurricane Center and your local emergency management agencies, for the latest updates and advice. They are the experts, and they have the most accurate information.

Areas Potentially at Risk from Hurricane Rafael

Now, let’s look at the areas potentially at risk . This part is super important. The projected path of Hurricane Rafael will tell us which areas are most likely to be affected. These areas might face the most intense winds, the heaviest rainfall, and the greatest risk of storm surge. When the storm track is released, officials will tell you the areas to watch closely, and that is a great starting point for you. However, even if you are outside the direct path, you could still be at risk. Remember that a hurricane’s effects can stretch far beyond the center of the storm. Strong winds can still hit areas miles away, and heavy rain can cause flooding in unexpected places. The impacts are not just about wind speed. Pay close attention to the potential for flooding, which can come from heavy rainfall or storm surge. Coastal areas are often most at risk from storm surge, which is when the ocean water is pushed inland by the hurricane’s winds. Even if you don’t live on the coast, heavy rain can lead to flooding in low-lying areas, so be prepared, even if you think you’re safe.

Always follow the advice of local authorities. If they issue an evacuation order, it’s super important to evacuate. They know the area and the specific risks, and they’re looking out for your safety. Make sure you have a plan in place. This includes knowing your evacuation routes, where to go, and how to stay in touch with your family. Ensure you have an emergency kit with essentials like food, water, medications, and a first-aid kit. Charge your phones and other devices and make sure you have a way to stay informed, such as a battery-powered radio. Consider the specific risks in your area. If you live in a flood-prone area, make extra preparations to protect your property and ensure your safety. If you live in an area prone to high winds, secure loose objects and reinforce your home. The more you know and prepare, the better you can protect yourself. Remember that everyone’s situation is unique, so consider your own circumstances when preparing for the storm. Remember, safety comes first. Being prepared and staying informed is the best way to protect yourself and your loved ones during a hurricane. Stay tuned to the projected track updates and be ready to adapt to any changes.

Anticipated Impacts: Winds, Rain, and Storm Surge

Let’s dive into the anticipated impacts , because knowing what to expect is essential for staying safe and making good decisions. Hurricane Rafael will bring a mix of dangerous conditions, including strong winds, heavy rain, and storm surge. These can have serious consequences, so it’s essential to understand each of them. First up, winds. Hurricane-force winds can damage homes, knock down trees, and cause power outages. They can also make it incredibly dangerous to be outside. If you’re in an area expecting high winds, stay indoors and away from windows and doors. The rain is the next big concern. Hurricanes dump massive amounts of rain, which can cause flooding. This includes river flooding, flash floods, and flooding in low-lying areas. Be prepared for potential flooding in the area, even if you don’t live on the coast. Another critical impact to consider is storm surge. This is when the hurricane’s winds push water inland, causing flooding in coastal areas. It is usually the most dangerous part of a hurricane and can lead to major damage and even loss of life. If you live in a coastal area, be aware of storm surge warnings and know your evacuation routes. It is very important to get out if you are told to.

It’s important to understand how these impacts can affect your community. Remember, it’s not just about the center of the storm. The effects of a hurricane can be felt over a wide area, so don’t underestimate the danger. To stay safe during a hurricane, have a plan, and be informed. Know where to seek shelter, and make sure your family members know the plan too. Always follow the instructions from local officials, including any evacuation orders. They’re the experts, and they are there to help you. Always keep an eye on the forecast and any warnings or advisories from the National Hurricane Center and your local emergency management agencies. Make sure you have an emergency kit ready to go, and be prepared to take action. Also, don’t forget your neighbors. Check on the elderly, the disabled, and anyone else who might need help. We’re all in this together, so look out for each other. Being prepared and informed can make a big difference, so remember that during a hurricane, it’s not just about the weather – it’s about being ready and taking care of yourself and your community.

Staying Informed and Preparing for Hurricane Rafael

Alright, let’s talk about how to stay informed and prepare for Hurricane Rafael . Staying on top of the latest information is essential, and here’s how to do it. The National Hurricane Center (NHC) is your main source for official forecasts, advisories, and warnings. Check their website regularly and pay attention to their updates, which are typically issued every few hours. Keep an eye on local news channels, radio stations, and weather apps for updates and local warnings. These resources will provide information specific to your area, including any evacuation orders or shelter locations. Make sure you have multiple ways to receive information, like a battery-powered radio or a NOAA weather radio, in case the power goes out. Your preparedness is not just about keeping informed. It’s about taking action, and that starts with creating a plan. Make sure you have a hurricane plan in place that includes evacuation routes, shelter locations, and a communication plan for your family. Know where to go, how to get there, and how to stay in touch with your loved ones.

Then, build an emergency kit. This kit should include essential supplies like water, non-perishable food, medications, a first-aid kit, a flashlight, batteries, and a weather radio. Having these items on hand can make a huge difference in an emergency. In addition, secure your home. This means trimming trees and shrubs around your house, bringing loose objects indoors, and reinforcing your windows and doors. If you’re in an evacuation zone, know your evacuation route and be ready to leave if an order is issued. Do not hesitate. Pack essential items, including medications, important documents, and any special needs items. If you’re not in an evacuation zone, prepare to shelter in place. This includes securing your home and having enough supplies to last for several days. Being prepared means staying informed and having a plan, but also taking the necessary steps to protect yourself and your property. Keep in mind that hurricanes are unpredictable, so it’s always better to be over-prepared than under-prepared. Remember that staying informed and preparing for Hurricane Rafael is all about being ready for whatever comes your way. Stay updated, stay safe, and be prepared. You’ve got this, guys!