Hurricane Updates: Tallahassee

M.Beartooth 116 views
Hurricane Updates: Tallahassee

Hurricane Updates: Tallahassee

Hey guys! Let’s dive into the latest updates on the hurricane situation affecting Tallahassee. Keeping you informed and prepared is super important, so let’s break down what you need to know.

Understanding Hurricane Preparedness

Hurricane preparedness is not just a one-time event; it’s an ongoing process that involves understanding the risks, planning ahead, and taking action to protect yourself, your family, and your property. Living in Tallahassee, Florida, means we’re in a region susceptible to hurricanes, making preparation even more critical. First off, it’s essential to know your zone . Find out if you live in an evacuation zone. This will determine whether you need to evacuate during a hurricane. You can usually find this information on your county’s emergency management website. Knowing your zone helps you understand the urgency and timing of potential evacuations, giving you ample time to plan and execute your departure safely.

Next, develop a family emergency plan . Gather your family and discuss what to do in case of a hurricane. This plan should include evacuation routes, meeting points, and communication strategies. Make sure everyone knows the plan and has a copy of important documents. Practicing the plan can also help reduce panic and ensure everyone knows their roles and responsibilities. Don’t forget to plan for your pets too! Identify pet-friendly shelters or hotels along your evacuation route. Additionally, build an emergency kit . This kit should include essential supplies like water (one gallon per person per day for at least three days), non-perishable food, a battery-powered or hand-crank radio, a flashlight, a first-aid kit, extra batteries, a whistle, dust masks, plastic sheeting and duct tape, moist towelettes, garbage bags and plastic ties, a wrench or pliers, a manual can opener, local maps, and a cell phone with chargers and a backup battery. Regularly check and replenish your kit, especially perishable items like food and batteries. Lastly, stay informed by monitoring weather updates from reliable sources like the National Hurricane Center, local news channels, and emergency management agencies. Sign up for alerts and notifications to receive timely information about the hurricane’s track, intensity, and potential impacts. Being proactive and staying informed are key to navigating hurricane season safely.

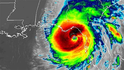
Current Status of the Hurricane

Okay, let’s get down to brass tacks and talk about the current status of the hurricane bearing down on Tallahassee. As of today, meteorologists are tracking a significant weather system that has the potential to impact our area. The National Hurricane Center is closely monitoring the storm’s development, and we’re keeping an eye on their updates as well. Currently, the storm is classified as a Category X hurricane, with sustained winds of approximately Y miles per hour. The projected path indicates that Tallahassee is within the cone of uncertainty, meaning we could experience direct impacts from the storm. This includes strong winds, heavy rainfall, and potential flooding. Now, what does this mean for us ? Well, it’s time to kick our preparedness plans into high gear. Start by securing any loose objects around your property, such as patio furniture, trash cans, and decorations. These items can become dangerous projectiles in high winds. Next, ensure that you have an adequate supply of food, water, and other essential supplies. Check your emergency kit and replenish any items that are running low. Also, stay informed . Keep a close watch on the weather updates from reliable sources. The situation can change rapidly, and it’s important to have the latest information to make informed decisions. If you live in an area prone to flooding, consider taking steps to protect your property, such as elevating valuables and sandbagging vulnerable areas. Lastly, be prepared to evacuate if necessary. Follow the instructions of local authorities and evacuate promptly if ordered to do so. Your safety is the top priority, so don’t take any chances.

Impact on Tallahassee

The impact on Tallahassee from this hurricane is expected to be significant, so we need to be ready for some potential disruptions. Forecasters are predicting strong winds that could cause widespread power outages due to downed trees and power lines. Make sure you have a plan for dealing with an extended power outage, including alternative sources of light and heat, and a way to keep your food cold. We’re also anticipating heavy rainfall , which could lead to flooding in low-lying areas. If you live in a flood-prone zone, now is the time to take precautions to protect your property. Elevate valuable items, clear storm drains, and consider sandbagging vulnerable areas. In addition to wind and rain, there’s also a risk of storm surge, particularly in coastal areas. While Tallahassee is not directly on the coast, storm surge can still cause flooding in areas near rivers and streams. Pay attention to local advisories and be prepared to evacuate if necessary. Beyond the immediate physical impacts, the hurricane could also disrupt essential services such as transportation, communication, and healthcare. Roads may be closed due to flooding or debris, making it difficult to travel. Cell phone service could be unreliable due to damage to cell towers. And hospitals and emergency services could be overwhelmed by the demand for assistance. That’s why it’s so important to be self-sufficient and prepared to handle emergencies on your own. Have a supply of essential medications, a first-aid kit, and a plan for communicating with family members. And remember, stay informed . Keep a close watch on the weather updates and follow the instructions of local authorities. Together, we can weather this storm and minimize the impact on our community.

Safety Measures During the Hurricane

Alright, let’s talk about the safety measures you should take during the hurricane to keep yourself and your loved ones safe. First and foremost, stay indoors . The safest place to be during a hurricane is inside a sturdy building, away from windows and doors. Avoid going outside unless absolutely necessary. If you must go outside, be aware of your surroundings and watch out for falling debris. Stay away from windows and doors . These are the most vulnerable parts of your home during a hurricane. Find an interior room, such as a closet or bathroom, and take shelter there. If you live in a mobile home or manufactured home, evacuate to a designated shelter. These types of homes are not designed to withstand hurricane-force winds. If you’re driving, pull over to the side of the road and wait out the storm. Avoid driving through flooded areas. The water may be deeper than it appears, and you could get stranded. Also, monitor weather updates . Keep a close watch on the weather updates from reliable sources. The situation can change rapidly, and it’s important to have the latest information to make informed decisions. If you lose power, use battery-powered or hand-crank radios to stay informed. In case of a power outage, turn off and unplug major appliances to prevent a power surge when the electricity is restored. Use flashlights for lighting instead of candles to avoid the risk of fire. If you have a generator, operate it outdoors in a well-ventilated area to prevent carbon monoxide poisoning. Lastly, be prepared to evacuate . If local authorities issue an evacuation order, follow their instructions and evacuate promptly. Your safety is the top priority, so don’t take any chances. Remember, by taking these safety measures, you can help protect yourself and your loved ones during the hurricane.

Post-Hurricane Recovery

Okay, let’s discuss post-hurricane recovery . Once the storm has passed, it’s crucial to take certain steps to ensure your safety and begin the process of rebuilding. First off, assess the damage . Before venturing outside, carefully inspect your home for any structural damage. Look for things like downed power lines, damaged roofs, and unstable walls. If you suspect any significant damage, contact a qualified professional for an inspection before attempting any repairs. Next, be cautious of hazards . Downed power lines are a major safety risk after a hurricane. Stay away from them and report them to the power company immediately. Also, be aware of the potential for flooding. Standing water can be contaminated with sewage and other hazardous materials, so avoid wading through it. If you have a generator, operate it outdoors in a well-ventilated area to prevent carbon monoxide poisoning. After that, document the damage . Take photos and videos of any damage to your property. This documentation will be essential when filing insurance claims. Contact your insurance company as soon as possible to report the damage and begin the claims process. Additionally, clean up debris . Clear any debris from your property to prevent further damage and reduce the risk of injury. Wear protective clothing, including gloves and sturdy shoes, when handling debris. Be careful when lifting heavy objects, and don’t try to do too much at once. Lastly, seek assistance . Many organizations offer assistance to hurricane victims, including government agencies, non-profit organizations, and community groups. Contact your local emergency management agency to find out what resources are available in your area. Remember, recovery from a hurricane can be a long and challenging process, but by taking these steps, you can begin to rebuild your life and your community.

Staying informed is the name of the game, especially during and after a hurricane. Here are some key resources and links to keep you in the loop: The National Hurricane Center (NHC) is your go-to source for official hurricane forecasts and information. Their website (nhc.noaa.gov) provides real-time updates, satellite imagery, and forecast models. Your local news channels are another valuable source of information. They provide up-to-the-minute reports on the storm’s track, intensity, and potential impacts. They also offer practical advice on how to prepare for and stay safe during a hurricane. The Leon County Emergency Management website is your local resource for all things emergency-related. You’ll find information on evacuation routes, shelter locations, and other important resources. Also, FEMA (Federal Emergency Management Agency) offers a wealth of resources for disaster preparedness and recovery. Their website (fema.gov) provides information on how to apply for assistance, file insurance claims, and rebuild your life after a disaster. The American Red Cross is another important organization that provides assistance to hurricane victims. They offer shelter, food, and other essential services. You can find information on their website (redcross.org) or by calling their hotline. Lastly, social media can be a useful tool for staying informed during a hurricane. Follow official accounts from the NHC, local news channels, and emergency management agencies for real-time updates. However, be sure to verify the information before sharing it, as rumors and misinformation can spread quickly during a crisis. With these resources at your fingertips, you’ll be well-equipped to stay informed and make informed decisions during and after the hurricane.

Stay safe, Tallahassee! We’ll get through this together.